研發 PLM — WebUI 版
iPad 看不夠大?WebUI 讓你的配方終於能在大螢幕上自由呼吸
原本在 iPad 上辛苦操作的研發 PLM 模組,現在完整移植到 iDempiere WebUI。
更大的畫面、更快的效能、更順暢的操作體驗 — 讓研發工程師專注在配方,而不是跟螢幕搏鬥。
配方管理
科技始終來自於懶惰 — 配方秤量,一鍵搞定
- 配方列表一覽,勾選即可批次產生配料工單
- 固含量 (SC%) 即時計算,材料類型色碼分類
- 支援縮放倍率,大批量小批量都能精準配料
- 再也不用在 iPad 上捏著放大鏡看數字了
實驗管理與測試趨勢
實驗失敗不可怕,可怕的是忘記記錄為什麼失敗
- 實驗步驟清單、完成勾選、結果篩選(通過/不合格/待定)
- 測試結果即時驗證:黏度、pH值、固含量一目了然
- 趨勢折線圖追蹤品質數據,允收範圍帶清楚標示
- WebUI 大螢幕同時看數據表格和趨勢圖,不用再來回切換


派工管理
誰做什麼、做了多少、還欠多少 — 主管的三大靈魂拷問
- 工單列表含狀態篩選:草稿、進行中、已完成
- 工單詳情:負責人、預估工時、實際工時一覽
- 人員指派 Tab:角色、時數、狀態即時掌握
- 團隊工作量長條圖:誰太閒、誰太忙,圖表說了算





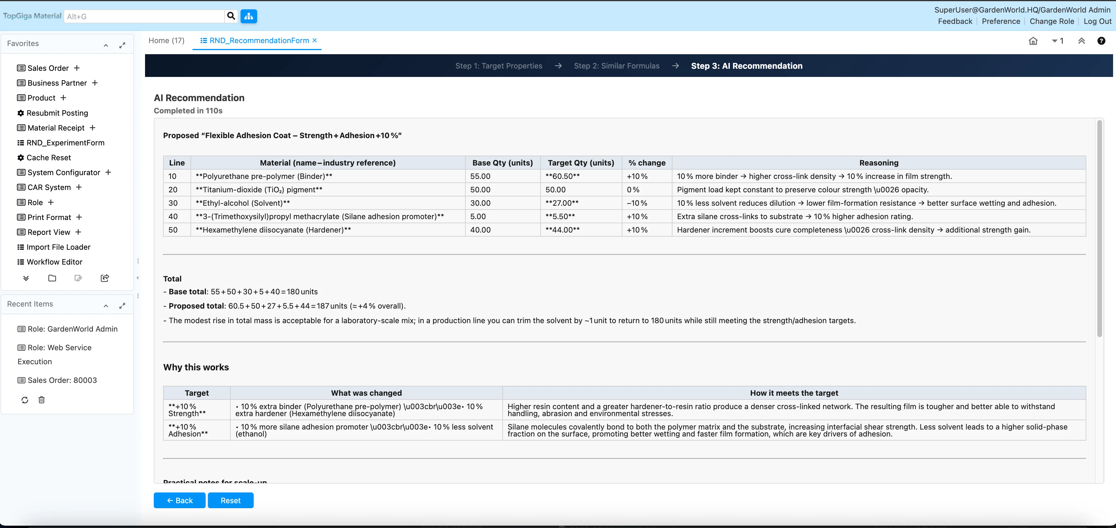
AI 智慧推薦
AI 不會取代研發工程師,但會用 AI 的工程師會取代不會用的
- 三步驟精靈:設定目標物性 → 選擇參考配方 → AI 產生推薦
- 使用本地端 Ollama 模型,研發數據不外洩
- 推薦結果含完整配方明細、調配理由與注意事項
- 實際可生產的配方建議,不是天馬行空的理論值



儀表板群
數字不會說謊,但你的同事可能會 — 讓儀表板替你監工
- R&D 總覽:專案數、配方數、實驗通過率、待校準設備
- 成本分析:材料/人工圓餅圖、逐料成本明細表
- KPI 績效:雷達圖多維評估、團隊排名一目了然
- 測試趨勢:黏度、pH、固含量折線圖同時呈現

設備管理與知識庫
設備校準記錄找不到?知識都在老員工的腦子裡?是時候讓系統接管了
- 設備清單含校準狀態色碼:正常(綠)、即將到期(橘)、逾期(紅)
- 校準歷史記錄、證書編號、下次校準日期完整追蹤
- 知識庫支援全文搜尋、文章類型篩選(How-To/Reference/Troubleshoot)
- Markdown 格式撰寫,研發筆記不再散落各處
相關功能
R&D PLM — WebUI Edition
iPad too small? WebUI gives your formulas room to breathe on the big screen
The R&D PLM module, originally built for iPad, is now fully ported to iDempiere WebUI.
Bigger screens, faster performance, smoother operations — let R&D engineers focus on formulas, not fighting with screen real estate.
Formula Management
Technology is born from laziness — batch ticket generation, one click away
- Formula list overview — select and batch-generate dispensing tickets
- Real-time Solid Content (SC%) calculation with color-coded material types
- Scaling support for any batch size — precision dispensing guaranteed
- No more squinting at tiny numbers on an iPad screen
Experiment & Test Trends
Failed experiments aren’t scary — forgetting to record why they failed is
- Step checklists, completion tracking, result filtering (Pass/Fail/Pending)
- Real-time test validation: viscosity, pH, solid content at a glance
- Trend line charts with acceptance range bands clearly marked
- WebUI big screen: view data tables and trend charts simultaneously


Work Order Dispatch
Who’s doing what, how much is done, how much is left — management’s three eternal questions
- Work order list with status filters: Draft, In Progress, Completed
- Work order details: assignee, estimated hours, actual hours overview
- Assignments tab: roles, hours, and status at your fingertips
- Team workload bar chart: who’s idle, who’s overloaded — the chart decides





AI-Powered Recommendation
AI won’t replace R&D engineers, but engineers who use AI will replace those who don’t
- 3-step wizard: Set target properties → Select reference formulas → AI generates recommendation
- Local Ollama model — your R&D data never leaves your premises
- Results include full formula details, rationale, and safety notes
- Production-ready suggestions, not ivory-tower theoretical values



Dashboard Suite
Numbers don’t lie, but your colleagues might — let dashboards do the oversight
- R&D Overview: projects, formulas, experiment pass rate, overdue calibrations
- Cost Analysis: material/labor pie chart, per-material cost breakdown
- KPI Performance: radar chart multi-dimensional evaluation, team ranking
- Test Trends: viscosity, pH, solid content trend lines displayed together

Equipment & Knowledge Base
Can’t find calibration records? All the knowledge is in a senior engineer’s head? Time for a system takeover
- Equipment list with calibration status: OK (green), Upcoming (orange), Overdue (red)
- Full calibration history, certificate numbers, next due dates
- Knowledge base with full-text search, article type filtering (How-To/Reference/Troubleshoot)
- Markdown format — R&D notes finally have a proper home
Big Screen R&D — No More Finger Yoga
WebUI PLM is live. Your R&D team’s productivity is ready for takeoff.
Related Features
R&D PLM — WebUI版
iPadでは画面が小さい?WebUIで処方管理を大画面で快適に
iPadで操作していたR&D PLMモジュールが、iDempiere WebUIに完全移植されました。
より大きな画面、より速いパフォーマンス、よりスムーズな操作 — R&Dエンジニアが処方に集中できる環境を。
配方管理
テクノロジーは怠惰から生まれる — バッチチケット生成、ワンクリックで完了
- 処方一覧から選択してバッチ配合チケットを一括生成
- 固形分(SC%)リアルタイム計算、材料タイプ別カラーコード表示
- スケーリング対応 — 大ロットも小ロットも正確に配合
- iPadで数字を拡大して見る日々はもう終わりです
実験管理・テストトレンド
実験の失敗は怖くない — 失敗の理由を記録し忘れることが怖い
- ステップチェックリスト、完了チェック、結果フィルタリング
- テスト結果リアルタイム検証:粘度、pH値、固形分を一覧表示
- トレンド折れ線グラフで品質データを追跡、許容範囲帯を明示
- WebUI大画面でデータテーブルとトレンドチャートを同時表示


作業指示管理
誰が何を、どれだけ完了、どれだけ残り — 管理者の三大質問
- 作業指示一覧:ドラフト、進行中、完了のステータスフィルタ
- 作業指示詳細:担当者、見積工数、実績工数を一覧表示
- 担当者割当タブ:役割、工数、ステータスを即座に把握
- チームワークロード棒グラフ:誰が暇で誰が忙しいか一目瞭然





AIスマート推薦
AIはR&Dエンジニアを置き換えない — しかしAIを使うエンジニアが使わないエンジニアを置き換える
- 3ステップウィザード:目標物性設定 → 参照処方選択 → AI推薦生成
- ローカルOllamaモデル使用 — R&Dデータは社外に出ません
- 推薦結果に処方明細、根拠、注意事項を完全収録
- 実際に生産可能な処方提案 — 机上の空論ではありません



ダッシュボード群
数字は嘘をつかない、でも同僚はつくかもしれない — ダッシュボードに監視を任せよう
- R&D概要:プロジェクト数、処方数、実験合格率、校正期限切れ設備
- コスト分析:材料費/人件費円グラフ、材料別コスト明細表
- KPIパフォーマンス:レーダーチャート多次元評価、チームランキング
- テストトレンド:粘度、pH、固形分の折れ線グラフを同時表示

設備管理・ナレッジベース
校正記録が見つからない?ノウハウはベテランの頭の中?システムに引き継ぐ時です
- 設備一覧に校正ステータスカラー表示:正常(緑)、期限間近(橙)、期限切れ(赤)
- 校正履歴、証明書番号、次回校正日を完全追跡
- ナレッジベース:全文検索、記事タイプフィルタ(How-To/Reference/Troubleshoot)
- Markdown形式 — R&Dノートの散逸はもう終わり